| |
 |
Marsha Wright (PhD student), Dustin Baumbach (PhD student), and Justin Cruz (ProTECTOR, Inc. Intern) weigh a turtle as part of the research work-up done on captured turtles.
| |
Stephen Dunbar conducting a video conference with the Loma Linda University EXSEED program on the first turtle capture of the research season. |
| |
|
| |
 |
Steve collecting habitat samples. This includes taking samples of sponge, algae, sediment, and water. This is part of a study looking at metal contamination.
| |
Dustin preparing to capture a turtle by slowly swimming up to it from above. |
| |
|
 |
|

|
Steve capturing a turtle for sampling and angling it upward to bring to the surface. The turtles do not seem to mind this when they are being angled upward. |
|
At the surface with the captured turtle, Steve waits for assistance to do the research work-up. |
|
|
|
 |
|
 |
After conducting different tests, Steve poses with a turtle that is ready to be released back into the water. |
|
At the release of his newly adopted turtle, Ted Anger supports Steve and the ProTECTOR, Inc. turtle research and conservation work. Ted is the contributer of the most turtle sightings in Roatan and as such is a ProTECTOR, Inc. research assistant. |
|
|
|
 |
|
 |
Dustin posing with a captured turtle. |
|
Marsha holds a turtle while Dustin captures a photo for photo ID. |
|
|
|
| |
 |
|
|
|
|
|
|

|
|
 |
|
|
|
|
|
|
 |
|
 |
After a research work-up, turtles are released from the Roatan DiveCenter beach. |
|
|
|
|
|
 |
|
 |
|
|
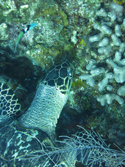
Hawksbill eating Geodia neptuna. |
|
|
|
 |
|
 |
|
|
During the 2016 season, we continued to photograph green turtles to establish a photo ID database for this species in the SBWEMR. |
|
|
|

|
|
 |
|
|
|
|
|
|
 |
|
 |
Green turtles in the SBWEMR tend to be much more shy than hawksbills, but still allow divers to approach very closely as evidenced by this picture. |
|
|
|
|
|
 |
|
 |
|
|
|
|
|
|
 |
|
 |
|
|
|
|
|
|

|
|
 |
|
|
This turtle was flipper tagged (you can see the tag on the right front flipper) early in the research season (end of June), and was seen in the same home range area within a couple days of tagging. This provides further data that tagged turtles do not leave the home area because of capture and tagging. |
|
|
|